Piękna atrakcyjnie położona działka.
Warszawa / Wesoła Pokaż na mapie ›
Dodane: Środa, 04 Marzec, 2026 17:25
4 505 850 zł
Szczegóły ogłoszenia
- Kategoria: Działki i grunty / Sprzedaż
- Sprzedaż:Pośrednik
- Cena: 4 505 850 zł
Opis oferty
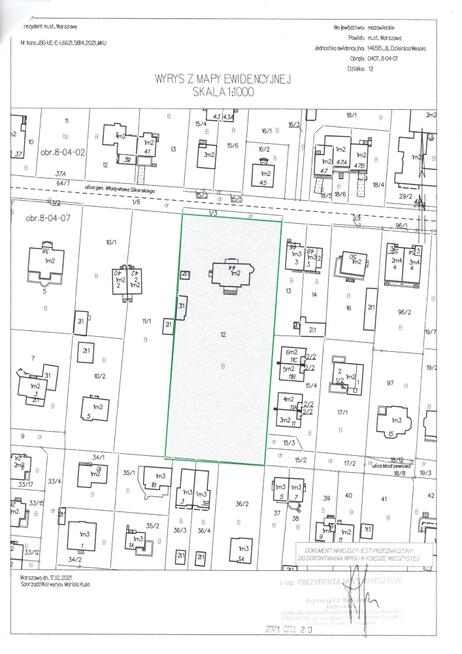
Oferta dodana za pomocą Multiportalu BeBrokerDo sprzedania piękna i niezwykle atrakcyjnie położona działka ze starodrzewiem w znakomitej lokalizacji w Warszawie w dzielnicy Wesoła. Nieruchomość usytuowana jest w otoczeniu domów jednorodzinnych.
Dojazd do działki jest bezpośrednio od ulicy Wł. Sikorskiego. Dodatkowo można dojechać jeszcze na działkę od ul. Modrzewiowej (Wrzosowej). Ta możliwość pozwala dodatkowo na podzielenie działki na mniejsze. W bliskiej okolicy usytuowana jest stacja kolejowa.
Na działce wybudowany jest budynek mieszkalny wolnostojący. W związku z tym, że nieruchomość jest wpisana do GEZ złożony został wniosek o jego wyłączenie. Aktualnie jest wystawiona opinia Prezydenta Miasta Stołecznego Warszawy z którego wynika, że nie ma podstaw do pozostawienia go w gminnej ewidencji zabytków.
Działka jest w kształcie prostokąta o powierzchni 5301 m2, wymiary: szerokość ok 47 mb x głębokość ok 113 mb
Opis i charakterystyka działki:
W miejscowym planie zagospodarowania przestrzennego działka oznaczona jest symbolem
04-07/MN-1000 oraz KD i przeznaczona jest na cele niskiej zabudowy mieszkaniowej jednorodzinnej. Minimalna powierzchnia działki nie może być mniejsza niż 1000 m2, wysokość zabudowy nieprzekraczalnej wysokości 2,5 kondygnacji i nieprzekraczalnej wysokości zabudowy 10 m2. Uchwała Rady Gminy Wesoła z dnia 24 kwietnia 1998 r. Nr 69 poz. 336
Działka o numerze ewidencyjnym 12 obręb 8-04-07, nie jest położona w obszarze rewitalizacji ani w Specjalnej Strefie Rewitalizacji. Rada m. st. Warszawy nie podjęła uchwały, o której mowa w art. 8 ustawy z dnia 9 października 2015 roku o rewitalizacji (t,j, Dz.U. dnia 2021 r., poz 485)
Sprzedawana działka nie jest objęta uproszczonym planem urządzenia lasu i nie jest objęta decyzją, o której mowa w art. 19 ust. 3 ustawy z dnia 28 września 1991 roku o lasach.
Niniejszy opis ma charakter informacyjny i nie stanowi oferty w rozumieniu Kodeksu Cywilnego.
Sprzedażą działki zajmuje się ESSA Sp z o o
Władysław Śliżewski 695-98-98-08
Telefon: 695 - pokaż numer telefonu -
Sprawdź zainteresowanie tym ogłoszeniem
Wyświetlenia
Data dodania
Ostatnio widziany
Obserwujących
Wysłane zapytania
Odsłony telefonu
- Wypromuj ogłoszenie
- Zgłoś naruszenie
- Drukuj ulotkę
- Edytuj/usuń ogłoszenie
- Udostępnij ogłoszenie
- Dodaj na Facebook


















